Kursy walut NBP: USD 3,98 | EUR 4,32 | CHF 4,53 |

Wyszukiwarka
Notes
Zgłoś ofertę
Kalkulator
O nas
Kontakt

Mieszkania
Domy
Działki
Lokale
Obiekty
Szczegóły oferty
Rodzaj oferty
działka budowlana ( sprzedaż )
Numer oferty
12046612
Miejscowość
MARKÓW-ŚWINICE
Cena
150 000 PLN kalkulator
Cena za mkw
100 PLN mkw
Powierzchnia
1500.00 m2
Droga dojazdowa
polna
Opis
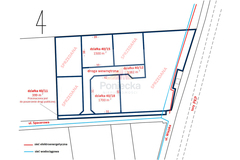
Działka budowlano-usługowa - Marków-Świnice, gm. Mszczonów

W sąsiedztwie Suntago, największego parku wodnego w Polsce, znajduje się działka budowlano-usługowa nr ewid. 40/15, o powierzchni 1500 m2 i wymiarach 39 x 39 . Położenie w drugiej linii zabudowy od ulicy Spacerowej - droga ta jest utwardzoną drogą gminną, co zapewnia wygodny dojazd do działki. Bliskość Suntago i terenów rekreacyjnych sprawia, że to miejsce doskonale nadaje się zarówno pod zabudowę mieszkaniową, jak i usługi turystyczne czy rekreacyjne.

MPZP (symbol 5U/MN)
Teren objęty jest miejscowym planem zagospodarowania przestrzennego, który przewiduje zabudowę mieszkaniową jednorodzinną oraz usługi - jako przeznaczenie podstawowe. Dopuszczalne funkcje handel, gastronomia, hotel, pensjonat, biura, zdrowie, rekreacja, drobna wytwórczość, parkingi.

WSKAŹNIKI ZABUDOWY
- maksymalna powierzchnia zabudowy 50%
- minimalna powierzchnia biologicznie czynna 30%
- maksymalna wysokość budynków 20 m

MEDIA
Wodociąg miejski oraz sieć elektroenergetyczna w ulicy.

DOJAZD I LOKALIZACJA
5 km do centrum Mszczonowa
7 minut drogi rowerem do Suntago
W otoczeniu zielonych terenów, lasów oraz rozwijających się obszarów rekreacyjnych

Oferujemy do sprzedaży również sąsiednie działki z tego kompleksu.

Lokalizacja zaznaczona bardzo dokładnie. Zapraszam do kontaktu.

Kontakt do agenta

Dorota Poniecka Nieruchomości
Sarmacka 12 E lok.12
02-972 Warszawa
tel.: 505 059 024 lub 516 156 467
email: dorota@nieruchomoscidp.pl

Wyślij zapytanie

Imię i Nazwisko
Telefon
E-mail
Treść zapytania

Wyrażam zgodę na przetwarzanie moich danych osobowych przez firmę Dorota Poniecka Nieruchomości dla celów związanych z działalnością pośrednictwa w obrocie nieruchomościami, jednocześnie potwierdzam, iż zostałem poinformowany o tym, iż będę posiadać dostęp do treści swoich danych do ich edycji lub usunięcia.

Wyślij ofertę

E-mail
© 2026 Dorota Poniecka Nieruchomości. Wszystkie prawa zastrzeżone.